
GAASCHTBIERG
240 – 260 Route d’Arlon
Strassen
Built for today, inspired by tomorrow
Heritage redefines urban living with spaces crafted for connection, creativity, and comfort.
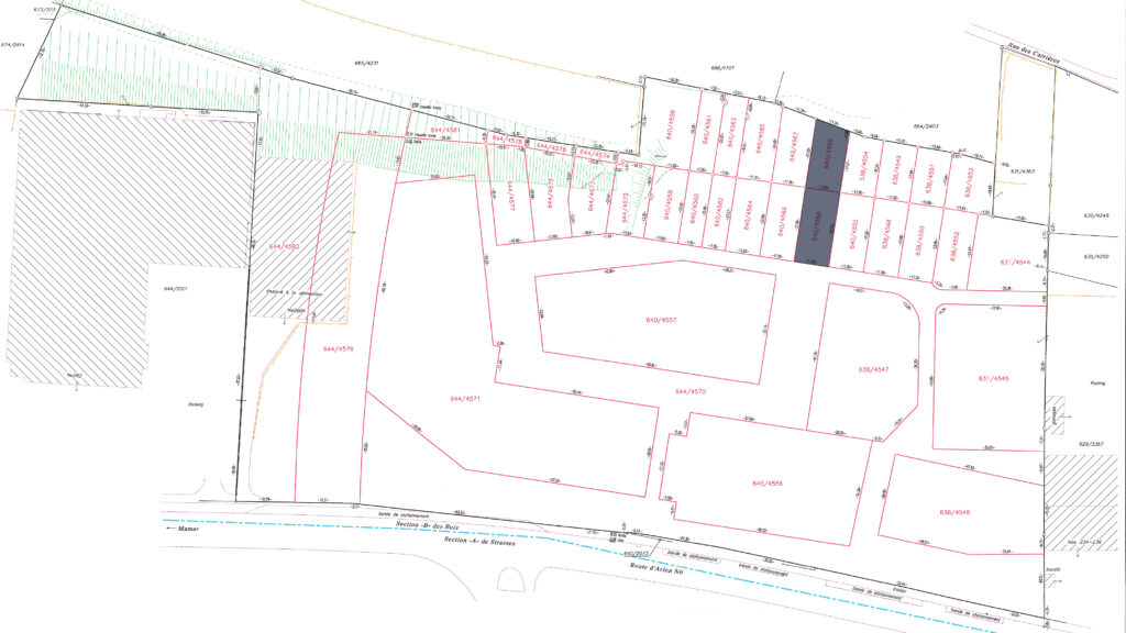
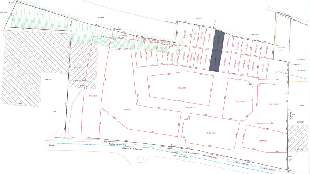
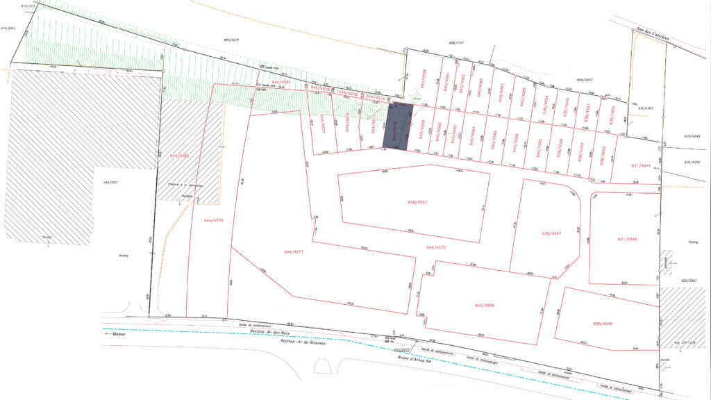
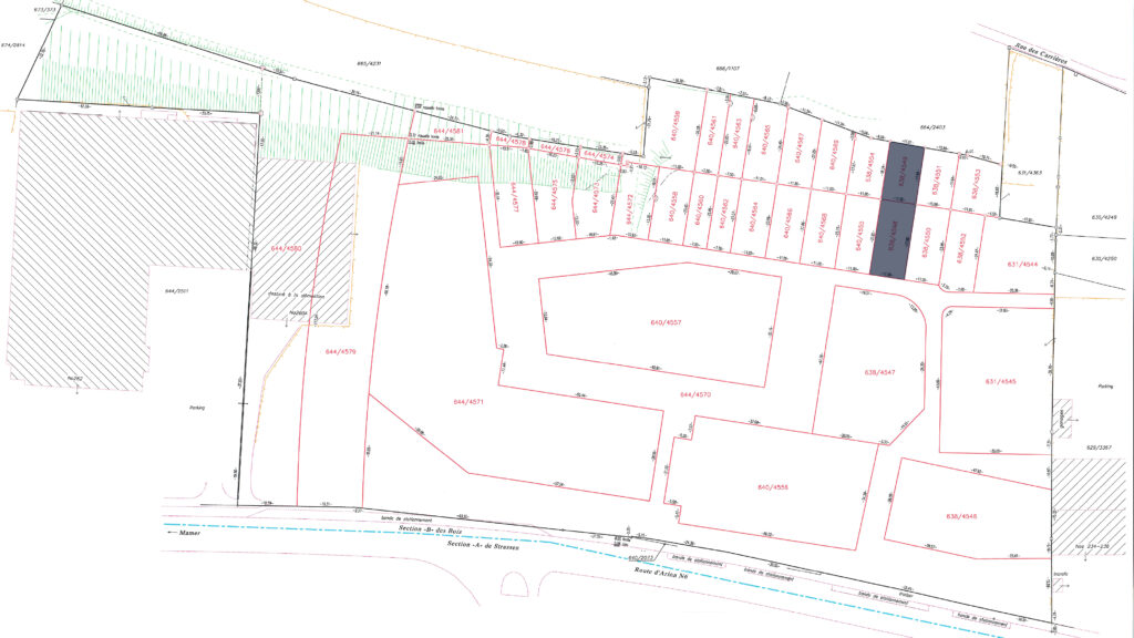
Lot 7
4.17 acres of land in total, including 3.75 acres of building land (644/4577) and 0.42 acres of garden (644/4578) in the future residential district of ‘Gaaschtbierg’ in Strassen. This land, which is free of any building contracts, is ideally located close to all amenities.
Availability to be agreed upon.
Coming soon
4.17 ares
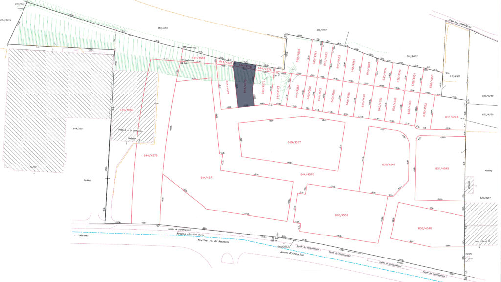
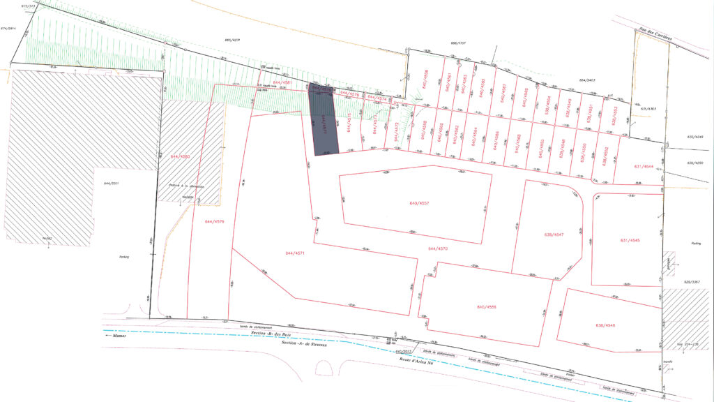
Lot 8
4.16 acres of land in total, including 3.65 acres of building land (644/4575) and 0.51 acres of garden (644/4576) in the future residential district of ‘Gaaschtbierg’ in Strassen. This land, which is free of any building contracts, is ideally located close to all amenities.
Availability to be agreed upon.
Coming soon
4.16 ares
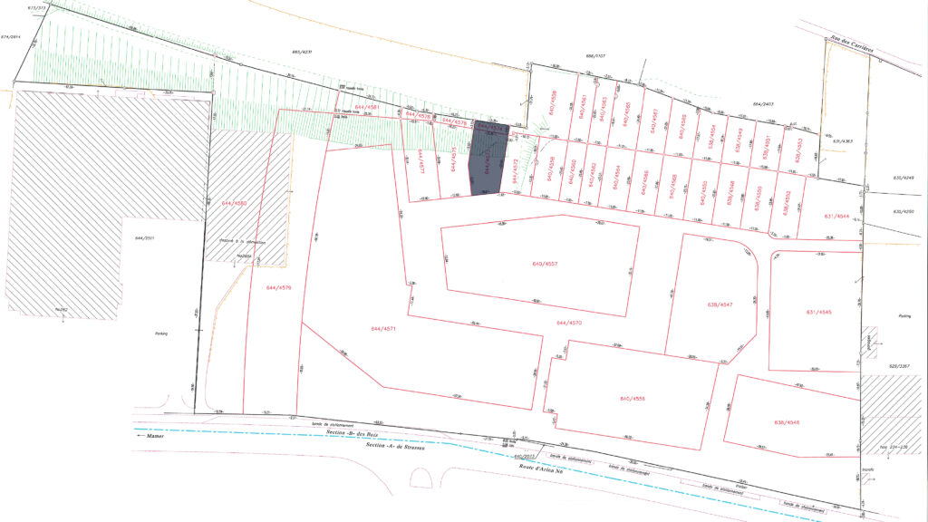
Lot 9
3.53 acres of land in total, including 3.07 acres of building land (644/4573) and 0.46 acres of garden (644/4574) in the future residential district of ‘Gaaschtbierg’ in Strassen. This land, which is free of any building contracts, is ideally located close to all amenities.
Availability to be agreed upon.
Coming soon
3.53 ares
Lot 10
2.77 ares building plot (644/4572) in the future residential district of ’Gaaschtbierg” in Strassen. This plot, which is free of any building contract, is ideally located close to all amenities. Availability to be agreed.
Coming soon
2.77 ares
Lot 11
7.39 ares of land in total, including 2.57 ares of building land (644/4572) and 4.82 ares of garden (640/4559) in the future residential district of ‘Gaaschtbierg’ in Strassen. This land, which is free of any building contracts, is ideally located close to all amenities.
Availability to be agreed.
Coming soon
7.39 ares
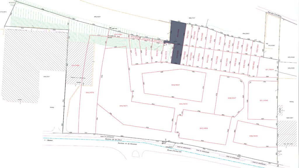
Lot 12
Land measuring 3.72 ares in total, of which 1.76 ares are buildable (640/4560) and 1.96 ares are garden (640/4561) in the future residential district of ‘Gaaschtbierg’ in Strassen. This land, which is free of any building contract, is ideally located close to all amenities.
Availability to be agreed.
Coming soon
3.72 ares
Lot 13
3.68 ares of land in total, including 1.76 ares of building land (640/4562) and 1.92 ares of garden (640/4563) in the future residential district of ‘Gaaschtbierg’ in Strassen. This land, which is free of any building contracts, is ideally located close to all amenities.
Availability to be agreed.
Coming soon
3.68 ares
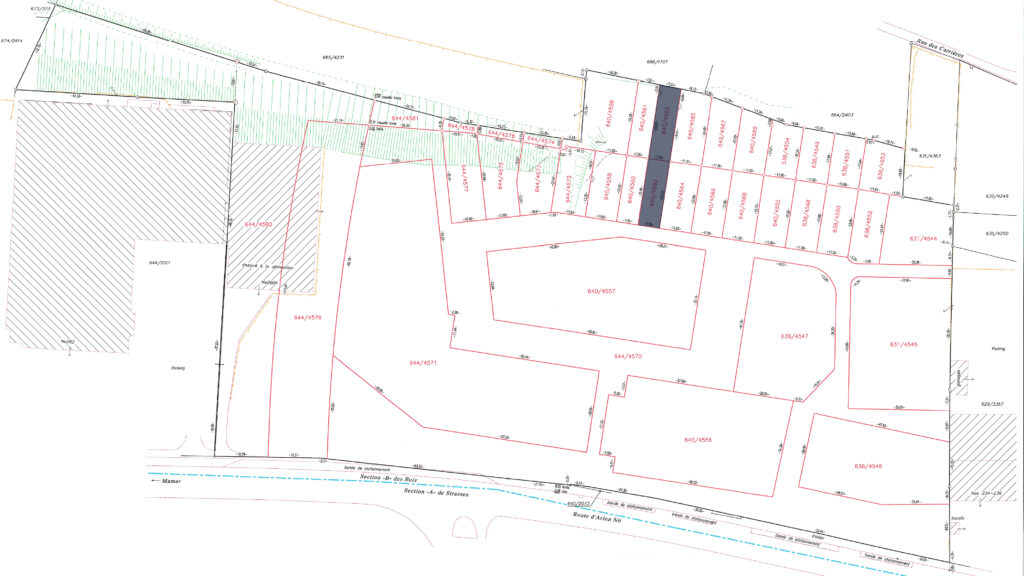
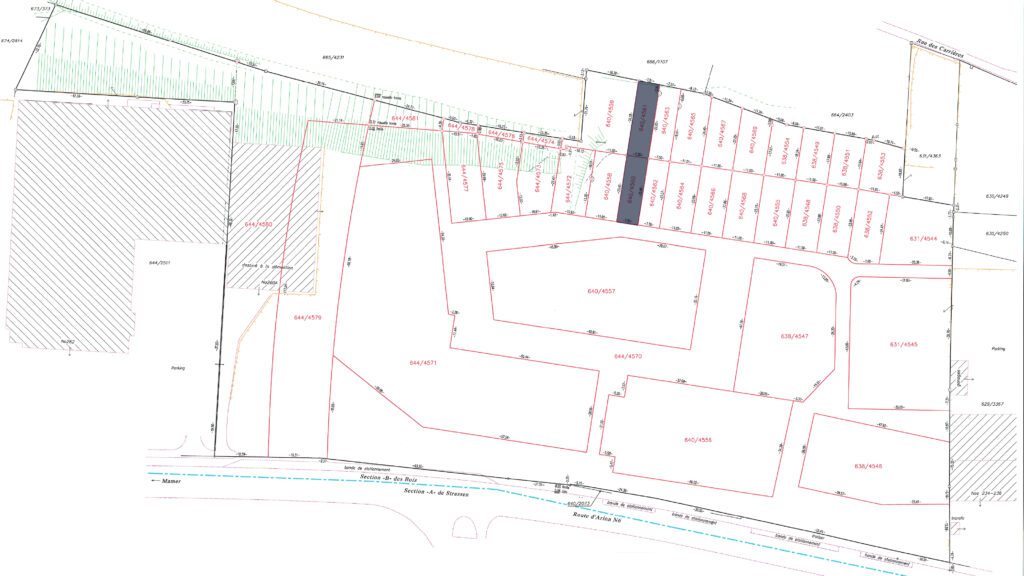
Lot 14
5.35 ares of land in total, including 2.59 ares of building land (640/4564) and 2.76 ares of garden (640/4565) in the future residential district of ‘Gaaschtbierg’ in Strassen. This land, which is free of any building contracts, is ideally located close to all amenities.
Availability to be agreed.
Coming soon
5.35 ares
Lot 15
5.15 ares of land in total, including 2.6 acres suitable for building (640/4566) and 2.55 ares of garden (640/4567) in the future residential district of ‘Gaaschtbierg’ in Strassen. This land, which is free of any building contracts, is ideally located close to all amenities.
Availability to be agreed.
Coming soon
5.15 ares
Lot 16
4.9 ares plot of land, including 2.61 ares of buildable land (640/4568) and 2.29 ares of garden (640/4569) in the future residential district of ‘Gaaschtbierg’ in Strassen. This plot, which is free of any building contracts, is ideally located close to all amenities.
Availability to be agreed.
Coming soon
4.9 ares
Lot 17
4.68 ares of land in total, including 2.62 ares of building land (640/4555) and 2.06 ares of garden (638/4554) in the future residential district of ‘Gaaschtbierg’ in Strassen. This land, free of any building contract, is ideally located close to all amenities.
Availability to be agreed.
Coming soon
4.68 ares
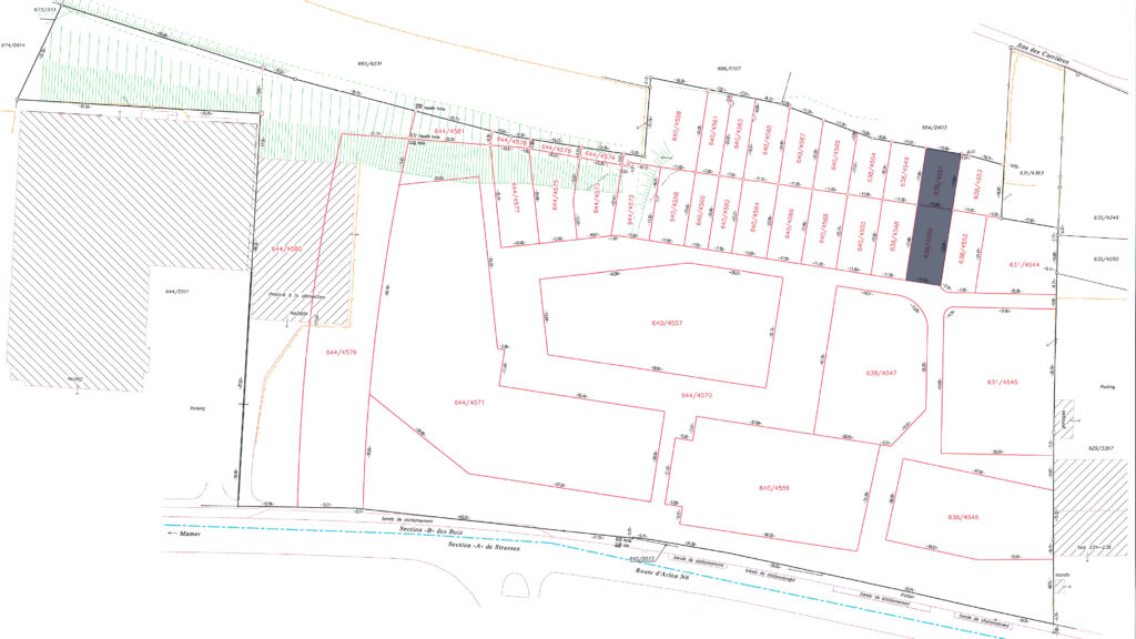
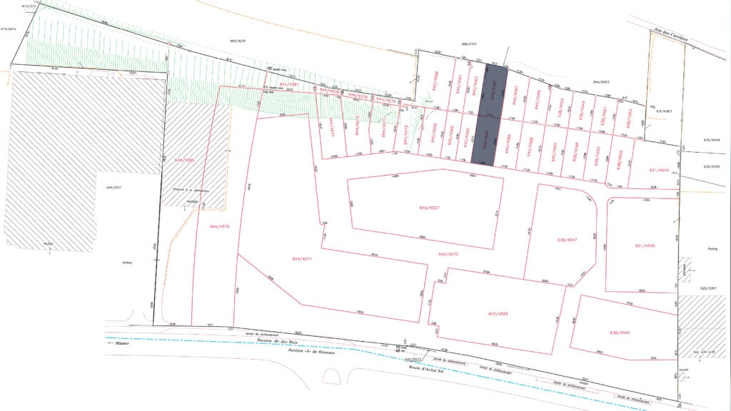
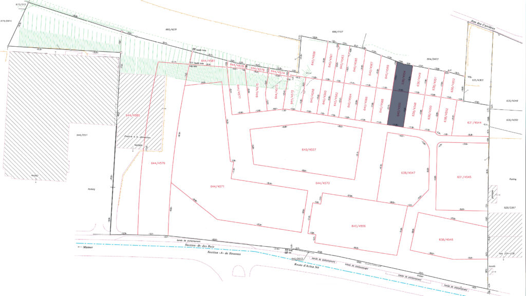
Lot 18
4.62 ares of land in total, including 2.62 ares suitable for building (638/4548) and 2 ares of garden (638/4549) in the future residential district of ‘Gaaschtbierg’ in Strassen. This land, which is free of any building contracts, is ideally located close to all amenities.
Availability to be agreed.
Coming soon
4.62 ares
Lot 19
4.59 ares of land in total, including 2.63 ares of building land (644/4577) and 1.96 ares of garden (638/4551) in the future residential district of ‘Gaaschtbierg’ in Strassen. This land, free of any building contract, is ideally located close to all amenities.
Availability to be agreed.
Coming soon
4,59 ares
Lot 20
5.27 ares of land in total, including 2.76 ares of building land (638/4552) and 2.51 ares of garden (638/4553) in the future residential district of ‘Gaaschtbierg’ in Strassen. This land, which is free of any building contracts, is ideally located close to all amenities.
Availability to be agreed.
Coming soon
5.27 ares
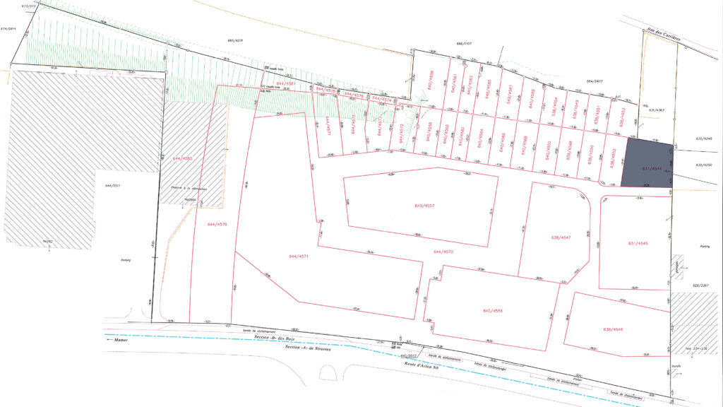
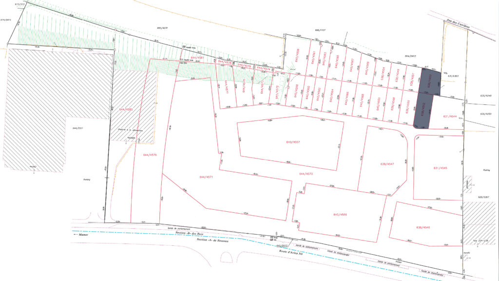
Lot 21
5.38 ares of land (631/4544) in the future residential district of ‘Gaaschtbierg’ in Strassen. This land, which is free of any building contracts, is ideally located close to all amenities.
Sold
Discover our available properties
-
Lot 21631/4544SoldBuilding land
5,38 ares
5.38 ares of land (631/4544) in the future residential district of ‘Gaaschtbierg’ in Strassen. This land, which is free of any building contracts, is ideally located close to all amenities.
-
Lot 20638/4552coming soonBuilding land and garden
2 ares 76 ca
2 ares 51 ca
5.27 ares of land in total, including 2.76 ares of building land (638/4552) and 2.51 ares of garden (638/4553) in the future residential district of ‘Gaaschtbierg’ in Strassen. This land, which is free of any building contracts, is ideally located close to all amenities.
Availability to be agreed. -
Lot 19644/4577coming soonBuilding land and garden
2 ares 63 ca
1 are 96 ca
4.59 acres of land in total, including 2.63 acres of building land (644/4577) and 1.96 acres of garden (638/4551) in the future residential district of ‘Gaaschtbierg’ in Strassen. This land, free of any building contract, is ideally located close to all amenities. -
Lot 18638/4548coming soonBuilding land and garden
2 ares 62 ca
2 ares
4.62 acres of land in total, including 2.62 acres suitable for building (638/4548) and 2 acres of garden (638/4549) in the future residential district of ‘Gaaschtbierg’ in Strassen. This land, which is free of any building contracts, is ideally located close to all amenities. -
Lot 17640/4555coming soonBuilding land and garden
2 ares 62 ca
2 ares 06 ca
4.68 acres of land in total, including 2.62 acres of building land (640/4555) and 2.06 acres of garden (638/4554) in the future residential district of ‘Gaaschtbierg’ in Strassen. This land, free of any building contract, is ideally located close to all amenities. -
Lot 16640/4568coming soonBuilding land and garden
2 ares 61 ca
2 ares 29 ca
4.9-acre plot of land, including 2.61 acres of buildable land (640/4568) and 2.29 acres of garden (640/4569) in the future residential district of ‘Gaaschtbierg’ in Strassen. This plot, which is free of any building contracts, is ideally located close to all amenities. -
Lot 15640/4566coming soonBuilding land and garden
2 ares 60 ca
2 ares 55 ca
5.15 acres of land in total, including 2.6 acres suitable for building (640/4566) and 2.55 acres of garden (640/4567) in the future residential district of ‘Gaaschtbierg’ in Strassen. This land, which is free of any building contracts, is ideally located close to all amenities. -
Lot 14640/4564coming soonBuilding land and garden
2 ares 59 ca
2 ares 76 ca
5.35 acres of land in total, including 2.59 acres of building land (640/4564) and 2.76 acres of garden (640/4565) in the future residential district of ‘Gaaschtbierg’ in Strassen. This land, which is free of any building contracts, is ideally located close to all amenities. -
Lot 13640/4562coming soonBuilding land and garden
1 are 76 ca
1 are 92 ca
3.68 acres of land in total, including 1.76 acres of building land (640/4562) and 1.92 acres of garden (640/4563) in the future residential district of ‘Gaaschtbierg’ in Strassen. This land, which is free of any building contracts, is ideally located close to all amenities. -
Lot 12640/4560coming soonBuilding land and garden
1 are 76 ca
1 are 96 ca
Land measuring 3.72 ares in total, of which 1.76 ares are buildable (640/4560) and 1.96 ares are garden (640/4561) in the future residential district of ‘Gaaschtbierg’ in Strassen. This land, which is free of any building contract, is ideally located close to all amenities. -
Lot 11644/4572coming soonBuilding land and garden
2 ares 57 ca
4 ares 82 ca
7.39 acres of land in total, including 2.57 acres of building land (644/4572) and 4.82 acres of garden (640/4559) in the future residential district of ‘Gaaschtbierg’ in Strassen. This land, which is free of any building contracts, is ideally located close to all amenities. -
Lot 10644/4572coming soonBuilding land
2 ares 77 ca
2.77-acre building plot (644/4572) in the future residential district of ’Gaaschtbierg” in Strassen. This plot, which is free of any building contract, is ideally located close to all amenities. -
Lot 9644/4573coming soonBuilding land and garden
3 ares 07 ca
0.46 ares
3.53 acres of land in total, including 3.07 acres of building land (644/4573) and 0.46 acres of garden (644/4574) in the future residential district of ‘Gaaschtbierg’ in Strassen. This land, which is free of any building contracts, is ideally located close to all amenities. -
Lot 8644/4575coming soonBuilding land and garden
3 ares 65 ca
0.51 ares
4.16 acres of land in total, including 3.65 acres of building land (644/4575) and 0.51 acres of garden (644/4576) in the future residential district of ‘Gaaschtbierg’ in Strassen. This land, which is free of any building contracts, is ideally located close to all amenities. -
Lot 7644/4577coming soonBuilding land and garden
3 ares 75 ca
0.42 ares
4.17 acres of land in total, including 3.75 acres of building land (644/4577) and 0.42 acres of garden (644/4578) in the future residential district of ‘Gaaschtbierg’ in Strassen. This land, which is free of any building contracts, is ideally located close to all amenities.
Living reimagined: a vibrant, modern space where well-being, light, and warmth inspire every day.




A high-quality project with luxury finishes, known as distinctive features of Les Jardins de Luxembourg.
Energy and thermal performance
- Energy certificate Class AAA
- Thermal insulation
- Triple glazing
- Improvement of air tightness
- Acoustic insulation
- Condensing gas boiler
Technical systems and comfort
- Underfloor heating
- Individual double flow ventilation system
- Motorization of slatted blinds
- Home automation
- TV and satellite PT cabling
- High-end sanitary equipment
Materials and construction
- Facades entirely in natural stone
- Aluminum frames
- Reinforced doors
- Flat roofs
- Tinted glass guardrails
- Solar protections
Outdoor areas and communal spaces
- High-end common area fittings
- Glass elevators
- Outdoor lighting
- Landscaping by a renowned landscaper
- Solar panels (domestic hot water)
- Wood or stone terraces

Where design meets comfort.
Heritage bring together high-quality architecture and refined finishes to create living spaces that blend elegance, innovation, and everyday well-being.


Strassen offers the perfect balance of proximity to Luxembourg City, modern infrastructure, environmental commitment, and high quality of life — an ideal place to settle.
Just a few minutes from Luxembourg City, Strassen stands out for its residential comfort, local energy and commitment to sustainable living.
The town offers a practical lifestyle with everything close at hand — public transport, sports facilities, green areas and daily services — making it a smart choice for those seeking both calm and connectivity.



Contact us
Information & sales
Prime Properties
Business Center Les Jardins de Luxembourg
27B Bd Marcel Cahen
L-1311 Luxembourg
(+352) 26 38 94 68
info@heritagebyjdl.lu
Project shaped by :

News
Get the most out of your property with Heritage
Prime Properties
Overview
Prime Properties is an independent real estate investment fund based in Luxembourg, active in seven countries. Over the past 20 years, it has developed more than €2 billion in real estate and currently manages €822 million in assets. The fund focuses on long-term, active management of European assets across student housing, residential, senior housing, and assisted living, operating through the full real estate value chain from land acquisition to asset management.
Case study
In partnership with Thomas & Piron, Prime Properties developed Les Jardins de Luxembourg, a 110,000 m² mixed-use project in Merl, Luxembourg City. The development includes 615 apartments, 9,000 m² of offices, and 8,600 m² of retail, all fully sold. With a market value of €800 million, the project spans 2007–2024 and earned BREEAM certification in 2011.
Thomas & Piron
Overview
With over 50 years of experience, Thomas & Piron is a leading construction and real estate development group, delivering around 1,500 units in 2024. Headquartered in Belgium with a strong presence in Luxembourg, the company operates across construction, real estate development, and civil engineering, offering services that include renovation, restoration, and project management for both private and public sectors.
Case study
In partnership with Immobel, Belgium’s largest listed developer, Thomas & Piron is developing Universalis Park, a major mixed-use project on the ULB/VUB La Plaine campus in Brussels. The project combines apartments, student housing, and local amenities within a green urban environment. A second phase of approximately 60,000 m² is planned for 2028, expanding on the project’s residential and community offering.
Discover our second location Kiem
The KIEM development offers a well-balanced program integrated into an existing and dynamic urban environment. It is designed as a modern living space, prioritizing accessibility, proximity, and the harmonious integration of residential functions and economic activities.
